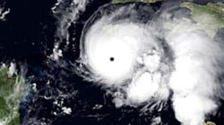
SANTO DOMINGO. El huracán Melissa alcanzó la categoría 5 en la escala de Saffir-Simpson, convirtiéndose en un ciclón extremadamente peligroso, con vientos máximos sostenidos de 260 km/h.
Según los reportes meteorológicos más recientes, el fenómeno se localiza cerca de la latitud 16.4 norte y longitud 77.8 oeste, a unos 205 kilómetros al sur/suroeste de Kingston, Jamaica, y 505 kilómetros al sur/suroeste de Guantánamo, Cuba, desplazándose lentamente hacia el oeste a unos 6 km/h.
A pesar de encontrarse a cierta distancia, Melissa mantiene una amplia masa de nubosidad sobre el territorio dominicano, provocando aguaceros dispersos desde tempranas horas en provincias como Barahona, Pedernales, Azua, Peravia, San Cristóbal, San José de Ocoa, San Pedro de Macorís, Samaná, Hato Mayor, María Trinidad Sánchez y el Gran Santo Domingo, entre otras.
Las autoridades advierten que durante el resto de la mañana y en horas de la tarde las lluvias se intensificarán, generando aguaceros fuertes, tormentas eléctricas y ráfagas de viento sobre varias regiones del país, especialmente en el suroeste, sureste, noreste, la cordillera Central y el Valle del Cibao.
Entre las zonas más propensas a ser afectadas se encuentran Pedernales, Barahona, Independencia, Bahoruco, Azua, San Juan, Peravia, Ocoa, San Cristóbal, San Pedro de Macorís, La Romana, La Altagracia, El Seibo, Hato Mayor, Samaná, Duarte, Sánchez Ramírez, La Vega, Monseñor Nouel, Santiago, Hermanas Mirabal, Espaillat y María Trinidad Sánchez.
El Centro de Operaciones de Emergencias (COE) mantiene activos los niveles de alerta y exhorta a la población a seguir las recomendaciones oficiales y mantenerse atenta a los boletines meteorológicos.
![]()
![]()


